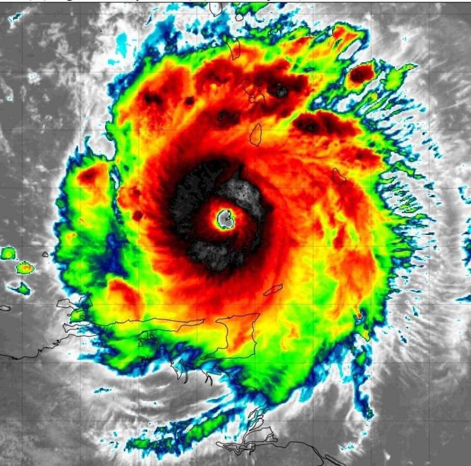
El huracán Beryl, que alcanzó la categoría 4, ha tocado tierra en la Isla Carriacou y se espera que comience a perder fuerza a medida que se acerca al Caribe Mexicano. Aunque el huracán ha sido extremadamente poderoso, los pronósticos sugieren que disminuirá su intensidad antes de aproximarse a la Península de Yucatán.

Por admin

Deja un comentario